Sansebastian bezpera eta eguneko danborradetako taldeen kokapenak
2020/01/16
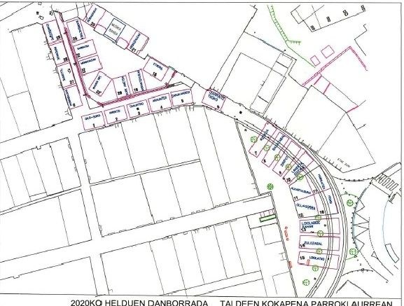
Sansebastian bezperan eta egunean, parrokian eta plazan talde bakoitza non izango den jakin nahian ibiltzen dira herritar ugari. Hemen dituzue kokapenak.
SAN SEBASTIAN BEZPERA
Parroki aurrea

Udaletxe aurrea

SAN SEBASTIAN EGUNA
Haurren danborrada

Bandera jaitsiera

